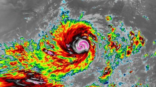
Peluang terjadinya siklon tropis di Indonesia semakin meningkat, dan Badan Meteorologi, Klimatologi, dan Geofisika (BMKG) telah mengonfirmasi status terbaru dari Bibit Siklon 91S yang kini telah menjadi Siklon Tropis Bakung. Fenomena ini terjadi pada hari Jumat, tanggal 12 Desember, pukul 19.00 WIB, dengan dampak yang mungkin mempengaruhi wilayah sekitarnya.
Berdasarkan analisis dari BMKG, Siklon Tropis Bakung memiliki kecepatan angin maksimum mencapai 35 knot atau setara dengan 65 kilometer per jam, dengan tekanan atmosfer yang terukur sekitar 1000 hPa. Meskipun bergerak ke arah barat daya menjauhi Indonesia, potensi dampak dari siklon ini tetap perlu diperhatikan oleh masyarakat.
Kepala BMKG, Teuku Faisal Fathani, menekankan bahwa meskipun pergerakan siklon menjauhi wilayah Indonesia, ada kemungkinan terjadinya efek tidak langsung yang dapat memicu cuaca ekstrem di berbagai daerah dalam waktu dekat. Oleh karena itu, masyarakat perlu waspada terhadap perubahan yang mungkin muncul di lingkungan mereka.
Peningkatan Status Siklon Tropis Bakung dan Implikasinya untuk Cuaca Lokal
Dari hasil pemantauan terbaru, BMKG menginformasikan bahwa dalam 24 jam ke depan, kecepatan angin maximum dari Siklon Tropis Bakung diperkirakan akan meningkat menjadi 55 knot atau setara dengan 100 kilometer per jam. Dengan intensitas yang semakin kuat, siklon ini dapat berkembang menjadi kategori dua dengan tekanan 988 hPa, memicu dampak cuaca yang lebih signifikan.
Faisal juga menjelaskan bahwa dampak tidak langsung dari siklon ini bisa berupa hujan dengan intensitas sedang hingga lebat yang diprediksi akan terjadi di beberapa daerah, termasuk Bengkulu, Lampung, dan Banten. Oleh karena itu, waspada menjadi kunci bagi masyarakat yang tinggal di wilayah-wilayah tersebut untuk mengantisipasi cuaca yang tidak menentu.
Selain itu, angin kencang berpotensi terjadi di Bengkulu, dan gelombang tinggi antara 1,25 hingga 2,5 meter dapat melanda perairan di Samudra Hindia bagian barat dari Kepulauan Mentawai hingga Lampung. Hal ini menjadi perhatian serius bagi para nelayan dan masyarakat yang beraktivitas di kawasan pesisir.
Pentingnya Waspada Terhadap Bibit Siklon Tropis 93S di Sekitar Bali-Nusa Tenggara
Deputi Bidang Meteorologi BMKG, Guswanto, meminta masyarakat untuk senantiasa waspada terhadap perkembangan Bibit Siklon Tropis 93S yang saat ini terpantau di Samudera Hindia, tepatnya di selatan Bali-Nusa Tenggara. Siklon ini terdeteksi berada di koordinat 12.0°LS 115.8°BT dan diprediksi akan bergerak perlahan menuju barat daya.
Dari analisis yang dilakukan, 93S diperkirakan memiliki peluang rendah untuk berubah menjadi siklon tropis dalam 24 hingga 72 jam ke depan. Meskipun demikian, dampak cuaca ekstrem tetap patut diperhatikan, dengan potensi hujan lebat yang mungkin terjadi di beberapa wilayah seperti Jawa Timur, Bali, dan Nusa Tenggara Barat.
Angin kencang dan gelombang tinggi juga diperkirakan akan melanda pesisir selatan Jawa Timur, Bali, hingga Nusa Tenggara. Dalam konteks ini, penting bagi masyarakat untuk selalu mengikuti perkembangan dan rekomendasi dari BMKG mengenai situasi cuaca yang mungkin berubah cepat.
Rekomendasi dan Tindakan yang Harus Dilakukan Masyarakat di Wilayah Terdampak
Direktur Meteorologi Publik BMKG, Andri Ramdhani, mengingatkan masyarakat di daerah terdampak untuk tetap waspada. Potensi hujan dengan intensitas sedang hingga lebat serta angin kencang harus menjadi perhatian, terutama di lokasi-lokasi yang rawan terkena cuaca ekstrem.
Masyarakat pesisir dan para pelaku aktivitas kelautan diharapkan dapat menyesuaikan aktivitas operasional mereka, mengingat potensi gelombang tinggi di sejumlah perairan. Dengan memperhatikan rekomendasi yang ada, diharapkan kegiatan sehari-hari dapat dilakukan dengan aman.
Sementara itu, pemantauan secara terus-menerus akan dilakukan oleh BMKG untuk memberikan informasi terkini terkait perubahan cuaca yang mungkin terjadi. Komunikasi antara BMKG dan masyarakat menjadi kunci untuk mengurangi risiko dan dampak yang bisa ditimbulkan dari fenomena alam ini.
